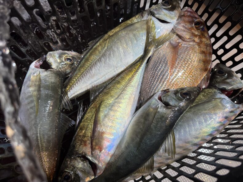
🐟11/11バチコン&イカメタル釣果🦑
バチコンアジング本日は乗り合いの皆様とバチコン&イカメタル便で出船致しました❗️
ポイントに着くと水温21.9℃潮は緩く25号〜30号でのスタートでした😊
集魚灯を点け今日もしばらくしてもボトムに反応が入らず中々当たらず…
その後はパラパラと出始めるとポツリ…ポツポツと当たり始め釣られてました😮💨✨
中盤から地合いあり✨
中々平均には当たらずでしたがパターンにハマる方はサイズも良く連発もあり良いペースで釣られてました🎣🐟
ですが…
何故か後半は活性が下がってしまいポツリ…ポツリ…とゆう状況で難しく…
当たればタイばかり🤔⁇
イカメタルに切り替えた方は終盤にスルメ釣られ時間となり終了とさせて頂きました🙇♂️
今日はサバが居なく中盤から良いペースでしたが…後半は活性下がりペースダウン😅
スルメの気配あるのでイカメタルの準備もお願い致します🫡
🎣🐟動画です↓
IMG_8091 IMG_8093 IMG_8092 IMG_8094 IMG_8126
今後の月の状況も良さげなので✨
今後に期待です‼️




本日はご乗船ありがとうございました🙇♂️

※ご紹介です✨
タナジク鯵あいや〜✨
このワーム凄いです❗️
ズレない❗️キレない‼️
釣果UPにオススメです‼️‼️
(お知らせ〜)
バチコンのご用意もお願い致します🙇♂️
イカメタルオンリーでも大丈夫ですので❗️
イカメタルは15号〜25号ご用意お願い致します🫡
※氷はご用意お願い致します🙇♂️


オススメ仕掛けです🫡
issei
新しい乗船場マップはこちら
https://myoeimaru.com/map.pdf
(お知らせ〜)
ご予約のお問い合わせで電話に出れない時がございますが折り返しお電話致しますので宜しくお願い致します🙇♂️
※駐車場及び港周辺にはゴミは絶対に捨てないで下さいお願い致します🙇♂️
※当日の朝11時〜12時の間に必ず❗️
出船確認のご連絡をお願い致します‼️
12時まで連絡がなければキャンセルとさせて頂きます❗️
またご都合によりどうしても連絡が出来ないのであれば前日に連絡下さい😊
宜しくお願い致します🙇♂️
















